Atibaia/SP | Chácara 58.255m² - Benfs.

Judicial Online
Aberto para Lances
Categoria(s) do leilao:
1
1
106
Leilão ID: 29993Condições de venda
1lote(s) em
SP
1ª Encerramento-12/11/202511:00
2ª Encerramento-26/11/202511:00
3ª Encerramento-10/12/202511:00
4ª Encerramento-09/01/202616:00
5ª Encerramento-26/01/202616:00
6ª Encerramento-09/02/202616:00

Chácara 58.255m² - Benfs. - Atibaia/SP

I_70_975988_E.jpg
I_70_975988_E.jpg
I_70_975991_F.jpg
I_70_254527_C.jpg
I_70_254530_D.jpg
I_70_705085_A.jpg
I_70_705087_B.jpg
Documentos
EDITAL
MATRÍCULA
AVALIAÇÃO
Aberto para Lance
Lote:1
Visitantes
106
Habilitados
1
lances
0
ATIBAIA/SP
Avaliação:
R$ 6.246.139,97
Lance Atual:
R$ 0,00
Descricao
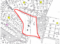
Chácara c/ 58.255m², c/ casa sede c/ piscina, sauna, vestiário e quadra de tênis, 03 casas de empregados, Rua 01, Lot. Rancho Maringá, Gleba 01, quadra D, Bairro Portão, Cad. 19.067.002.00-0056237, CRI 31.532, Atibaia/SP. (Proc. 0602376-77.1995.8.26.0100) (MASSA FALIDA)

AVALIAÇÃO: R$ 6.246.139,97 | LANCE MÍNIMO: R$ 3.123.069,99

(O IMÓVEL PODE SER PARCELADO COM 25% DE ENTRADA E O RESTANTE EM ATÉ 30 MESES)

(Obs.: As benfeitorias encontram-se em estado de abandono, c/ a grama alta. Conforme informações uma das casas passou por incêndio, o que comprometeu a sua estrutura.)